Redacción. El estado de Florida, en Estados Unidos, se mantiene en alerta máxima y tomando las medidas necesarias debido al ingreso del huracán Milton, considerado uno de los más fuertes de los últimos años y se prevé que golpeará de lleno en la bahía de Tampa la noche de este miércoles o madrugada del jueves.
Ante el pronóstico, autoridades estatales y gubernamentales han solicitado a las personas que viven en zonas de peligro que evacúen de inmediato. A su vez, han enviado un mensaje claro: sino lo hacen, lo más probable es que mueran.

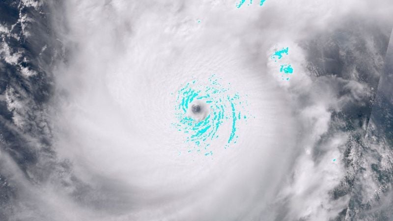
De acuerdo con el Centro Nacional de Huracanes (NHC), Milton tocaría tierra en Florida la noche de este miércoles luego de que se elevará nuevamente a categoría 5. El presidente Joe Biden advirtió que podría ser «la peor tormenta» que azote el estado «en un siglo».
Es por ello que Rose Angelakopoulos, enlace hispana de la policía de Tampa, Florida, realizó una seria advertencia a las personas que no han evacuado. Es crucial acatar las advertencias para cuidar de las vidas de las familias.
Lea además: Hondureños en USA piden apoyo a Cancillería por huracán Milton
Angelakopoulos participó en un podcast con Enrique Santos y al ser consultada de que recomendación le daba a las personas que aún no quieren evacuar sentenció: «Bueno, que se tomen una foto y una foto a su ropa para que nosotros podamos identificar después de la tormenta por si mueren. La realidad es que la tormenta será mortal para las personas que están en esa área de evacuación».

«Qué tomen un marcador, escriban su fecha de nacimiento, porque eso hace más fácil después con los rescates y recuperar los cuerpos», agregó la uniformada.
Predicciones del NHC
Predicciones muestran que Milton estará dejando en la Florida altas marejadas, además de las lluvias y vientos huracanados, y es justamente por ello que se considera altamente mortal.
El huracán recuperó fuerza el martes y se convirtió en un ciclón de categoría 5 con vientos máximos sostenidos de 270 km/h mientras avanza hacia el estado de Florida, según el centro de huracanes de Estados Unidos (NHC).

El experto en huracanes Michael Lowry advirtió que en la zona de Tampa, de unos tres millones de habitantes, la marejada ciclónica de Milton «podría duplicar los niveles» registrados hace dos semanas por Helene. Este último ciclón provocó grandes inundaciones.


