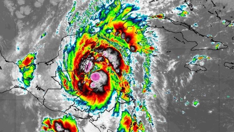
Redacción. La Secretaría de Estado en los Despachos de Gestión de Riesgos y Contingencias Nacionales de Honduras (Copeco) informó este sábado que el sistema de baja presión ubicado en el caribe hondureño se ha convertido en una tormenta tropical llamada Nadine.
La institución detalló mediante un boletín informativo que el sistema tropical se encuentra ubicado a unos 128 kilómetros al noroeste de la isla de Roatán, zona insular de Honduras. Tiene vientos sostenidos de 65 kilómetros por hora (km/h) y un movimiento de desplazamiento hacia el oste de 15 km/h.

En ese sentido, el organismo de protección civil informó a la ciudadanía que la tormenta tropical seguirá produciendo este sábado tanto lluvias como chubascos débiles a moderados, ocasionalmente fuertes con tormentas eléctricas en la mayoría de las regiones del país.
Acumulados y oleajes
«Los mayores acumulados se esperan en las partes montañosas del centro, oriente y norte. Los montos rondarían de 60 a 80 milímetros y máximos de 100 milímetros (mm) en partes montañosas de occidente y noroccidente. Esto podría producir crecidas repentinas de ríos y quebradas en esos sectores», añade el reporte del organismo de protección civil.
Se espera que la tormenta siga desplazándose hacia Belice. En tanto, el oleaje en el mar Caribe oscila en 3 a 5 pies y un máximo de 6 pies al norte de las Islas de la Bahía. En el golfo de Fonseca, un oleaje de 1 a 3 pies.
«Cenaos continuará informando periódicamente a la población hondureña sobre la evaluación de este fenómeno. Esto, de acuerdo con el análisis de productos satelitales, salida de modelos numéricos, de predicción de las condiciones atmosféricas y oceánicas. Asimismo, imágenes de radar y registros de las redes de observación meteorológica», concluye el comunicado.

Lea también: Lluvias continuarán este sábado en la mayor parte de Honduras


